Miami-Dade County

Miami Marine Stadium closer to $45M makeover, but city is obscuring detailed plan

More than a decade after city officials pledged to revive the storied but derelict Miami Marine Stadium, they say a $45 million plan for its restoration is nearly complete and inching towards realization.

But like anything to do with the long-running saga to save the 1963 Modernist landmark, widely regarded as one of the world’s most remarkable structures, it’s no sure thing, and key questions remain unanswered — including what precisely the renovation plan entails.

The ambitious plan, now in the final stages of approval by the city building and capital improvements departments, broadly envisions stripping the bare-concrete stadium of its rotting seats, decrepit plumbing and electrical systems, as well as the layers of graffiti that have famously covered every inch of its exposed surfaces since the facility’s closure after Hurricane Andrew in 1992.

Designed by a team led by prominent restoration architect Richard Heisenbottle, hired by the city four years ago, the plan calls for extensive repairs to the concrete skeleton, which studies show remains in exceptionally robust condition despite six decades of exposure to the elements. The blueprint also includes installation of new seats, sound and lighting systems, as well as elevators and gently sloping ramps for welcoming access for the disabled, an element missing from the original.

The goal: to return the historic stadium to life as a uniquely Miami venue for events, sports and cultural performances. In the 30 years before closing, the stadium hosted powerboat races, popular Easter sunrise services and concerts by such stellar performers as Ray Charles, the Who and Jimmy Buffett to a dazzling backdrop of Biscayne Bay and the city skyline.

Administrators say they are whittling down some features, including a grand entry plaza that would replicate the original layout, to bring down Heisenbottle’s estimated cost of $48 million closer to the $45 million already earmarked by the city for the project. Once that’s done, the project would be opened for construction bids, with selection of a contractor taking about eight months. Because the project would be financed through a previously approved bond issue, city taxpayers would be paying off the debt for 30 years.

The state of the Miami Marine Stadium on Wednesday, April 23, 2013.
The state of the Miami Marine Stadium on Wednesday, April 23, 2013. PATRICK FARRELL MIAMI HERALD

Plans obscured

There is a hitch, though: The public can’t see the plan.

The city has released a slide-deck presentation that shows conceptual renderings and sketches prepared by Heisenbottle for a hearing before the historic preservation board in July of 2019, with some images dating to 2018. The board unanimously approved the renovation after Heisenbottle’s presentation, video of which is archived on the city’s website.

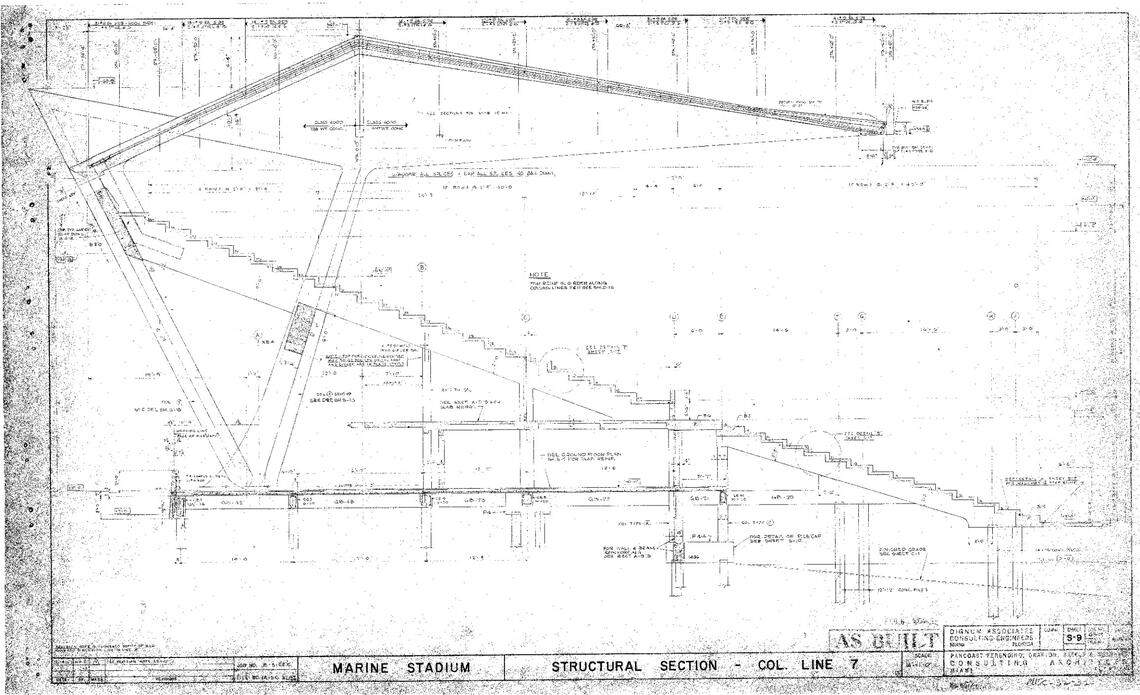
But the city attorney’s office has denied a request from the Miami Herald for a full copy of the detailed restoration plan Heisenbottle submitted to the city, contending it’s exempt from release under the state’s Sunshine Law.

Assistant City Attorney Jihan Soliman, who handles public records requests for the city, cited a provision in the law that exempts from release plans showing interior spaces and structural elements in stadiums, arenas and other public buildings. The state Legislature broadened the provision after 9/11 so that terrorists can’t use structural designs to plan an attack on a public facility.

After an attorney for the Herald requested release of only portions of the plan not depicting structural elements or interior spaces, the city on Friday released 76 pages, out of an apparent total of 240 pages of plans, a week after the original request.

But almost all the released pages, including those showing the design of new railings, were completely blacked out. The release includes unredacted land surveys, an overall bird’s-eye site plan layout, as well as a few partial sketches of the stadium’s lower grandstand, but little that aids review of the project’s details or its full scope.

The law allows the city to release any portion of the plans, including structural sections, if it chooses.

Miami Marine Stadium Restoration by Joey Flechas on Scribd

The stadium would contain few enclosed or interior spaces other than bathrooms, equipment rooms and a small office, according to Heisenbottle’s released renderings and his public presentation. And, unlike traditional arenas or buildings where the structural elements are hidden inside walls, the entire marine stadium structure is deliberately exposed to public view — a distinctive and key feature of its architectural and engineering design, which led to the city’s declaring it a protected historic landmark in 2008.

The original plans for the structure have been published and are in wide circulation. In 2012, a team led by a Princeton professor also published a detailed analysis of the stadium’s structure, widely considered a singular feat of architecture and engineering design.

The city attorney’s stance has put the legal office at odds with Mayor Francis Suarez, who advocated for the release of the plans. Suarez sought to at least provide sections of the plan without structural details.

“I think whatever we have should be visible to the public,” he told the Miami Herald. “There is no reason to hide anything, no reason to obscure anything.”

A page from the original architectural plan for the Miami Marine Stadium.
A page from the original architectural plan for the Miami Marine Stadium. Courtesy of Don Worth

The stadium upgrade has its supporters in City Hall. City Manager Art Noriega has said public investment in such city projects could serve as timely economic stimulus projects that would put people to work. But it’s unclear if it has political backing.

Miami Commissioner Ken Russell and Suarez have been key supporters of the renovation. The mayor called the stadium “a jewel” that is worth the cost of renovation because its uniqueness will draw people into the sort of “experience economy” he thinks will thrive in a post-pandemic world.

Suarez has not discussed the project with commissioners to take the political temperature, which might be chilled by the budget shortfalls amid a slumping COVID economy. The contract for stadium renovation work would require city commission approval.

“Even though we are in a financial crisis, one of the solutions is getting people back to work, and capital projects are a way to do that,” Russell said. “There is a good financial stimulus argument here.”

The mayor argues cultural gems should not be expected to be purely moneymakers, and with proper management, the facility could turn a profit.

“I think if we get the right operator, we should be fine,” he said.

Without the actual design plans, however, it’s hard for members of the public to judge how their money is being spent, said Anthony Alfieri, director of the Center for Ethics and Public Service at the University of Miami’s law school. He questioned the city’s decision to withhold the full plan absent legal justification.

“It should practice full disclosure,” Alfieri said. “The refusal is antithetical to good civic governance, transparency and accountability, which requires a dialogue about the costs and benefits of an important development project such as this one.”

R.J. Heisenbottle Architects and City of Miami

Restoration could start soon

City officials say they are almost ready to move on some initial restoration work on the stadium and basin.

They’ve hired a contractor for a first phase — repair of the steel-and-concrete pilings sunk into bay bottom that support the front section of the grandstand that overhangs the water’s edge. That $3 million-plus job, funded mostly by a grant from the Florida Inland Navigation District, is being handled separately from the broader stadium renovation and should start soon.

The city is also moving ahead with refurbishing a public trail that runs from the stadium property around the edge of the marine basin to an observation point overlooking Biscayne Bay and downtown Miami. The shady trail, about a mile and a half long, is a combination of packed dirt and asphalt and runs along a state nature preserve on the north side of the basin. The city is looking to replenish trail surfaces that have cracked, worn or become overgrown, and has hired a landscape architecture firm to devise a resurfacing plan.

The bare-concrete marine stadium, designed by architect Hilario Candela and the late engineer Jack Meyer, features a vast cantilevered roof canopy folded like origami and suspended over a 6,500-seat grandstand that juts into the water of a large artificial water basin. The National Trust for Historic Preservation has called the stadium “a masterwork.” (Candela is on Heisenbottle’s restoration team as a consulting architect.)

The stadium had been slated for demolition by the administration of Mayor Manny Diaz as part of a broader, still mostly unrealized plan to turn Virginia Key into an expansive park before preservationists rallied international support to save it. Diaz’s successor, Tomás Regalado, made restoration of the stadium a priority of his administration upon taking office in 2009.

And though Regalado identified substantial funding for the job, the project foundered, especially after a privately driven plan partly supported by Gloria and Emilio Estefan collapsed in 2014.

Sigrid Adriaenssens, the Princeton structural engineering professor who co-authored the 2012 analysis, said the stadium’s durability in spite of decades of neglect and the impact of numerous hurricanes proves how well it was designed and built.

The roof design is structurally audacious, she said. It’s anchored at the rear by three columns and heavy concrete that act as a counterweight, while the suspended portion over the grandstand is made of lighter, thin-shell concrete plates. It’s especially remarkable, she said, in that it was the work of a young architect in his 20s and an engineer who had not previously designed anything at that scale.

“The only other people who have done that is the Romans in the Pantheon,” Adriaenssens said. “The structure is extremely, extremely daring. There is nothing like it in the United States. It really is quite a marvel that they dared to do that. It had not been done before.”

An undated performance at the Miami Marine Stadium.
An undated performance at the Miami Marine Stadium. City of Miami

Not only that, she said, but a separate study she conducted found that the positioning of the stadium and the roof mean people in the grandstand are shielded from direct sun and glare for most of the day.

“It is very comfortable to sit in even in the midst of the summer,” she said. “It’s really a green building. It lives very long and performs very well. And it’s really beautiful. When people go there, they are mesmerized. it’s one of my favorite buildings in the world. It should be on the school trip of every architecture and engineering school.”

A significant portion of Heisenbottle’s plan, meanwhile, concerns the broad acreage between the stadium, which sits at the edge of a basin on Virginia Key, and the Rickenbacker Causeway. His conceptual renderings depict a re-creation of the facility’s original circular drive with a circular, park-like plaza and fountain at its center, to be flanked with alleys of palm trees and groves of shade trees. Other new elements he proposed within the stadium, including a bar or dining area and the new access ramps, are open to the air.

Some of those renderings in the presentation, however, are no longer “completely accurate,” the city administrator overseeing the project, Hector Badia, said in an interview. That’s because some parts of the Heisenbottle renovation plan have since been changed, Badia said. The entry plaza design, among other elements, is also undergoing alteration as administrators look for ways to pare costs, he said.

Another critical element depicted in the renderings — the floating stage for concerts and performances — is also not finalized. Heisenbottle proposed a fully equipped light and sound stage with dressing rooms and backstage space to be built atop a barge, a more elaborate version of the converted barge that once provided a performance platform for the stadium. Like the old barge, the new one would be moored across the stadium’s basin when not in use to allow for rowing or powerboat races, triathlons and other water-dependent events.

But Badia said planners are holding off on deciding a final concept and how much to spend on the stage, a step he said is not integral to restoration of the stadium structure.

Miami Marine Stadium used to host concerts and boat races, such as this Champion Spark Plug regatta in 1975.
Miami Marine Stadium used to host concerts and boat races, such as this Champion Spark Plug regatta in 1975. Restore Miami Marine Stadium

Managing the venue

Another still-missing piece is a decision on who would manage the stadium to ensure it generates enough revenue to cover operating and maintenance costs. In its last years of operation before closing, the stadium lost significant money. Some supporters of stadium renovation have said that going forward with renovation without an operating plan makes little fiscal sense.

The city had selected a major venue operator, AEG, in a competitive bid. But the previous city manager, Emilio Gonzalez, scotched the bid after concluding it didn’t make sense to hire an operator before a renovation plan was completed.

“I’m pleased with the progress the city is making,” said Don Worth, a preservationist who helped organize the campaign to save the stadium. “But the city should reissue the request for an operator. Developing a business plan with an experienced operator is very important.”

One possibility now, city officials say, is hiring a management consultant while renovations are under way, then identifying a permanent operator as work nears completion. Another might be to combine operators for the stadium and a long-stalled “flex-park” that would occupy the facility’s vast asphalt parking lots. Those lots are now used mostly by the Miami International Boat Show and other temporary special events.

A city design contractor, Civitas, is about three-quarters of the way on work on a blueprint for the park, which would be a multi-use facility open to the public for sports or recreation when the site is not being used by event promoters, said David Snow, chief of urban design at the city planning department. But that work has been paused while the city decides on a management and business strategy for the park that could also encompass the marine stadium.

Even if painfully slow, Worth said, the planning and money spent on restoring the marine stadium will pay off, both as a boost to tourism and as an intimate waterfront park facility for Miami residents who don’t have a mansion on the bay to enjoy.

“It will be one of the great venues in the world,” Worth said. “In Miami, most of the waterfront is owned by the wealthy. But everyone at the stadium is a VIP with a waterfront view.”

This story was originally published October 19, 2020 at 7:00 AM.

Andres Viglucci
Miami Herald
Andres Viglucci covers urban affairs for the Miami Herald. He joined the Herald in 1983.
Joey Flechas
Miami Herald
Joey Flechas is an associate editor and enterprise reporter for the Herald. He previously covered government and public affairs in the city of Miami. He was part of the team that won the 2022 Pulitzer Prize for reporting on the collapse of a residential condo building in Surfside, FL. He won a Sunshine State award for revealing a Miami Beach political candidate’s ties to an illegal campaign donation. He graduated from the University of Florida. He joined the Herald in 2013.
Get unlimited digital access
#ReadLocal

Try 1 month for $1

CLAIM OFFER